急性髋关节脱位的手法复位
2025-10-22
20
髋关节脱位的手法复位是几个大关节脱位里面,最需要力气的活。本文整理了几种实用的髋关节脱位「抱大腿」技巧,你明白的,我们用巧劲,不只用蛮力!
概述
1、诊断:可以通过 X 线明确脱位类型,CT 平扫可以评估合并损伤的情况。
![]()
2、治疗原则:急诊复位以尽量降低股骨头缺血坏死的发生风险,复位后通过 CT 扫描可以评估相关合并损伤是否需要手术治疗(关节内游离骨块、股骨头骨折、髋臼骨折)。
3、发病机制:
![]()
髋关节冠状切面、周围韧,由于髋臼位置较深且周围有强大韧带、关节囊包裹,发病机制通常为高能量损伤。
4、髋关节前后视图:
前视图:髂股(红色)和耻股(蓝色)韧带,髂股韧带由上、下两条带组成。
后视图:坐股韧带(绿色)和髂股韧带后部(红色)。
![]()
髋关节脱位分类
1、后脱位(90%)
典型仪表盘损伤,暴力自前方作用于屈曲的膝关节,沿股骨纵轴传达,受伤时髋关节位置决定是否合并髋臼损伤:
屈曲、内收角度越大,越容易发生单纯性的后脱位。
后脱位临床表现:
下肢呈屈曲、内收、内旋、短缩畸形,大转子位于 Nelaton 线之上,臀部可触及脱位股骨头。
![]()
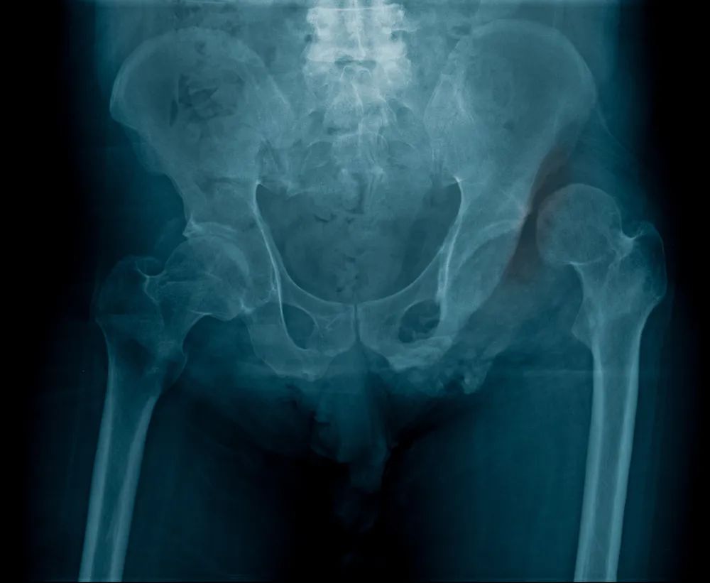
后脱位影像学:
股骨头较健侧缩小,股骨头与髋臼顶重叠;由于下肢内旋,小转子消失。
![]()
股骨头(橙色箭头)通常位于髋臼的上外侧,髋关节处于屈曲、内旋和内收状态。股骨内旋导致小转子明显性下降(黄色箭头)。注意本病例中有微小的髋臼后壁骨折(红色箭头)。
2、前脱位:
![]()
临床表现:
下肢呈外旋、屈髋、外展畸形,髋关节功能完全丧失,髋部肌肉痉挛,腹股沟下方可扪及股骨头。
前脱位影像学:
股骨头较健侧大,正位 股骨头下移于髋臼内侧或下方。
![]()
股骨头(橙色箭头)通常位于髋臼内侧下端,髋关节明显外旋,屈曲和外展较轻。髋关节前上脱位相比之下是罕见的,股骨外旋导致小转子明显增加(黄色箭头)。
3、中心脱位
股骨头穿透髋臼底,进入盆腔。
![]()
急诊闭合复位(12 小时内)
适应症:急性前后脱位;
相对禁忌证:同侧移位,无移位股骨颈骨折。
1、后脱位:
① Allis 法:
![]()
病人仰卧,助手双手按压两侧髂前上棘固定骨盆,术者手握患肢踝部,另一前臂置于小腿上端近腘窝处,使髋、膝关节屈曲 90°,向上用力持续牵引。
待肌肉松弛后,缓慢内、外旋转当听到或感到弹响,表示后股骨头滑入髋臼,然后伸直患肢。如局部畸形消失,关节活动恢复,表示复位成功。
![]()
![]()
② Stimson 法:
![]()
病人俯卧,患侧下肢悬空,髋及膝屈曲 90°,助手固定骨盆,术者一手握住踝部,另一手置于小腿近侧,靠近腘窝,沿股骨纵轴向下牵引,即可复位。
![]()
③ Bigelow 法(存在股骨颈骨折风险)
:
![]()
病人仰卧,助手双手按压两侧髂前上棘固定骨盆,术者手握患肢踝部,另一前臂置于屈曲的膝关节下方,沿患者畸形方向纵向牵引,然后于持续牵引下,保持内收内旋位,屈髋 90° 或以上,然后外展、外旋、伸直髋关节,股骨头可进入髋臼内。(即划一「问号」,左侧为正问号,右侧反问号)
![]()
④ 牵引复位法:
![]()
此复位方法可由医生一人独立完成,但需要特定牵引器械,具体操作步骤如下。
a: 对腿最大程度外展;
b:患腿内旋转,施加牵引;
c:保持腿内旋转,对腿内牵引;
d:患腿外旋转,大腿向上向外拉。
⑤ Lefkowitz 法:
复位者膝关节作为患侧肢体的支点,左手下压同侧踝部,发挥杠杆作用并控制旋转。
![]()
⑥ East Baltimore 上提法:
使用医师和助手手臂作为支点,通过踝部发挥杠杆作用,需要另一助手稳定骨盆。
![]()
![]()
⑦ 一人复位法:
患者健侧腿完全屈曲,足跟部尽量接触屁股,并保持稳定。术者位于患侧,将胳膊置于患侧下方腘窝处,搭到健侧膝盖上。右手抓住患者脚踝,进行旋转控制进行复位。
![]()
![]()
![]()
2、前脱位:
①屈髋拔伸法:
![]()
患者仰卧,髋外展、外旋位向上拔伸牵引至屈髋 90°,与此同时,术者双手环抱大腿根部,将大腿根部向后外方按压,再内旋髋关节,患肢伸直内收内旋,即可复位。
![]()
②Bigelow 法:
病人仰卧,助手双手按压两侧髂前上棘固定骨盆。
术者手握患肢踝部,另一前臂置于屈曲的腘窝下方,沿股骨长轴纵向持续牵引,首先将患肢逐渐屈膝,外旋,外展,患肢膝关节自外侧紧贴躯干,此后牵引患肢,使髋关节内收,内旋将股骨头送入髋臼并逐渐伸直患肢。
![]()
并发症
1、创伤性关节炎:简单脱位后,创伤性关节炎的发生率达 20%,复杂脱位的发生率更高。
2、股骨头缺血性坏死:5 ~ 40% 的发生率;
股骨头缺血性坏死发生率随脱位时间增加而增加。
3、坐骨神经损伤:8 ~ 20% 的发生率;与长时间后脱位相关。
4、再脱位:复位后遵医嘱,发生率小于 2%。
tips:
1、在监护的前提下适当给予镇静,镇痛,肌肉放松后再行复位。
2、复位后评估髋关节稳定性,复查髋关节 CT:以排除股骨头骨折,游离骨块,髋臼骨折。
3、闭合复位后,对于单纯性后脱位,应皮牵引固定于轻度外展位,前脱位需固定于轻度内内旋位,牵引时间 3 ~ 4 周,其后扶双拐下地活动,患肢部分负重。
概述
1、诊断:可以通过 X 线明确脱位类型,CT 平扫可以评估合并损伤的情况。

2、治疗原则:急诊复位以尽量降低股骨头缺血坏死的发生风险,复位后通过 CT 扫描可以评估相关合并损伤是否需要手术治疗(关节内游离骨块、股骨头骨折、髋臼骨折)。
3、发病机制:

髋关节冠状切面、周围韧,由于髋臼位置较深且周围有强大韧带、关节囊包裹,发病机制通常为高能量损伤。
4、髋关节前后视图:
前视图:髂股(红色)和耻股(蓝色)韧带,髂股韧带由上、下两条带组成。
后视图:坐股韧带(绿色)和髂股韧带后部(红色)。

髋关节脱位分类
1、后脱位(90%)
典型仪表盘损伤,暴力自前方作用于屈曲的膝关节,沿股骨纵轴传达,受伤时髋关节位置决定是否合并髋臼损伤:
屈曲、内收角度越大,越容易发生单纯性的后脱位。
后脱位临床表现:
下肢呈屈曲、内收、内旋、短缩畸形,大转子位于 Nelaton 线之上,臀部可触及脱位股骨头。

后脱位影像学:
股骨头较健侧缩小,股骨头与髋臼顶重叠;由于下肢内旋,小转子消失。

股骨头(橙色箭头)通常位于髋臼的上外侧,髋关节处于屈曲、内旋和内收状态。股骨内旋导致小转子明显性下降(黄色箭头)。注意本病例中有微小的髋臼后壁骨折(红色箭头)。
2、前脱位:

临床表现:
下肢呈外旋、屈髋、外展畸形,髋关节功能完全丧失,髋部肌肉痉挛,腹股沟下方可扪及股骨头。
前脱位影像学:
股骨头较健侧大,正位 股骨头下移于髋臼内侧或下方。

股骨头(橙色箭头)通常位于髋臼内侧下端,髋关节明显外旋,屈曲和外展较轻。髋关节前上脱位相比之下是罕见的,股骨外旋导致小转子明显增加(黄色箭头)。
3、中心脱位
股骨头穿透髋臼底,进入盆腔。

急诊闭合复位(12 小时内)
适应症:急性前后脱位;
相对禁忌证:同侧移位,无移位股骨颈骨折。
1、后脱位:
① Allis 法:

病人仰卧,助手双手按压两侧髂前上棘固定骨盆,术者手握患肢踝部,另一前臂置于小腿上端近腘窝处,使髋、膝关节屈曲 90°,向上用力持续牵引。
待肌肉松弛后,缓慢内、外旋转当听到或感到弹响,表示后股骨头滑入髋臼,然后伸直患肢。如局部畸形消失,关节活动恢复,表示复位成功。


② Stimson 法:

病人俯卧,患侧下肢悬空,髋及膝屈曲 90°,助手固定骨盆,术者一手握住踝部,另一手置于小腿近侧,靠近腘窝,沿股骨纵轴向下牵引,即可复位。

③ Bigelow 法(存在股骨颈骨折风险)
:

病人仰卧,助手双手按压两侧髂前上棘固定骨盆,术者手握患肢踝部,另一前臂置于屈曲的膝关节下方,沿患者畸形方向纵向牵引,然后于持续牵引下,保持内收内旋位,屈髋 90° 或以上,然后外展、外旋、伸直髋关节,股骨头可进入髋臼内。(即划一「问号」,左侧为正问号,右侧反问号)

④ 牵引复位法:

此复位方法可由医生一人独立完成,但需要特定牵引器械,具体操作步骤如下。
a: 对腿最大程度外展;
b:患腿内旋转,施加牵引;
c:保持腿内旋转,对腿内牵引;
d:患腿外旋转,大腿向上向外拉。
⑤ Lefkowitz 法:
复位者膝关节作为患侧肢体的支点,左手下压同侧踝部,发挥杠杆作用并控制旋转。

⑥ East Baltimore 上提法:
使用医师和助手手臂作为支点,通过踝部发挥杠杆作用,需要另一助手稳定骨盆。


⑦ 一人复位法:
患者健侧腿完全屈曲,足跟部尽量接触屁股,并保持稳定。术者位于患侧,将胳膊置于患侧下方腘窝处,搭到健侧膝盖上。右手抓住患者脚踝,进行旋转控制进行复位。



2、前脱位:
①屈髋拔伸法:

患者仰卧,髋外展、外旋位向上拔伸牵引至屈髋 90°,与此同时,术者双手环抱大腿根部,将大腿根部向后外方按压,再内旋髋关节,患肢伸直内收内旋,即可复位。

②Bigelow 法:
病人仰卧,助手双手按压两侧髂前上棘固定骨盆。
术者手握患肢踝部,另一前臂置于屈曲的腘窝下方,沿股骨长轴纵向持续牵引,首先将患肢逐渐屈膝,外旋,外展,患肢膝关节自外侧紧贴躯干,此后牵引患肢,使髋关节内收,内旋将股骨头送入髋臼并逐渐伸直患肢。

并发症
1、创伤性关节炎:简单脱位后,创伤性关节炎的发生率达 20%,复杂脱位的发生率更高。
2、股骨头缺血性坏死:5 ~ 40% 的发生率;
股骨头缺血性坏死发生率随脱位时间增加而增加。
3、坐骨神经损伤:8 ~ 20% 的发生率;与长时间后脱位相关。
4、再脱位:复位后遵医嘱,发生率小于 2%。
tips:
1、在监护的前提下适当给予镇静,镇痛,肌肉放松后再行复位。
2、复位后评估髋关节稳定性,复查髋关节 CT:以排除股骨头骨折,游离骨块,髋臼骨折。
3、闭合复位后,对于单纯性后脱位,应皮牵引固定于轻度外展位,前脱位需固定于轻度内内旋位,牵引时间 3 ~ 4 周,其后扶双拐下地活动,患肢部分负重。